Soron kívüli riasztás érkezett 2026-nyarára, rendkívüli változás érkezik a nyári időjárás-előrejelzés szerint?

Egy rendkívül erőteljes időjárási jelenség teljesen megváltoztatja Magyarországon a 2026-os nyarat.
A globális cirkulációs modellek markáns anomáliát jeleznek előre, ami a tradicionális éghajlati mintázatok teljes felborulásával fenyeget. A nyár folyamán várható trendek azt mutatják, hogy a korábbi években tapasztalt, hetekig tartó perzselő forróság helyét egy szignifikánsan instabilabb időszak veszi át.
Ez a radikális átalakulás az egész Kárpát-medencét eléri, így érdemes már most felkészülni arra, hogy a 2026-os esztendő tartogat némi meglepetést mindenki számára.
Csapadékbomba és egy rendkívül erőteljes időjárási jelenség éri el hazánkat: Ezt mutatják a 2026-os nyárra készült legfrissebb modellek
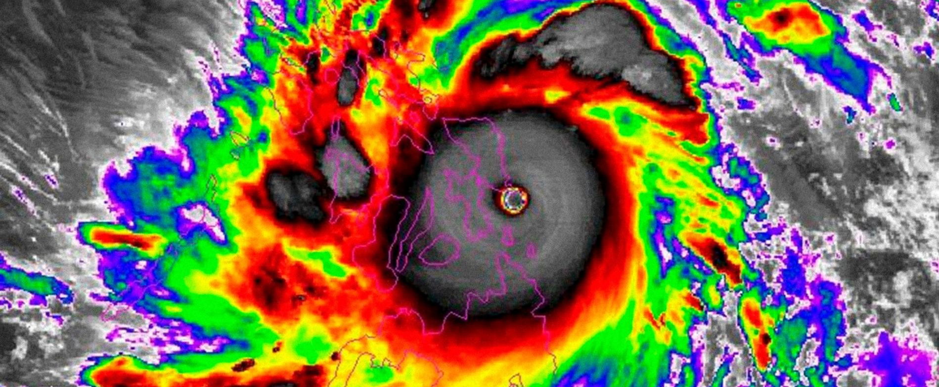
A Csendes-óceán feletti termikus egyensúly megbomlott, a La Niña korszaka hivatalosan is lezárult.
Helyére az El Niño lépett, ami egy természetes éghajlati jelenség: ilyenkor a Csendes-óceán egyenlítői szakaszán a tengervíz felszíni hőmérséklete jelentősen megemelkedik, megzavarva a globális szélrendszereket.

Azonnali figyelmeztetést küldött az MBH, a CIB Bank, az Erste és a K&H, magyarok százezreit érinti a fontos hír
Olvass tovább...
A folyamat most olyan sebességgel nyer teret, hogy a szakemberek már egy sokkal erőteljesebb jelenségtől tartanak, ami ezen ciklus szélsőségesen intenzív, legalább 2-2,5°C-os anomáliával járó fázisa lesz.
A rendkívüli jelenség egy megállíthatatlan légköri dominóeffektushoz fog vezetni, amely közvetlen csapást fog mérni a Kárpát-medencére, garantálva a totális bizonytalanságot a nyár folyamán.
Európán belül légköri szakadék és a Kárpát-medence sorsa: az aktuális időjárás-előrejelzés legfrissebb adatai fontos változásra hívják fel a lakosok figyelmét
Európa felett egyfajta meteorológiai szakadék alakul ki, ahol a nyugati területekre az Atlanti-óceán felől érkező hűvösebb légtömegek telepednek rá.
A hőmérséklet alakulása itt a sokéves átlag közelében marad, de a kontinens belső és déli részein alacsony nyomású ciklonok veszik át az uralmat.

Lecserélték a Citadella szobrát, meghökkentő alak jelent meg a helyén
Olvass tovább...
Emiatt a csapadék mennyisége drasztikusan magasabb lehet a megszokottnál, különösen Délnyugat-Európa térségében.
Magyarország ezen két légköri hatás ütközőzónájában helyezkedik el, ahol az Atlanti-óceán felől érkező hűvös áramlatok és a déli irányból feltörekvő nedves légtömegek vívják majd napi csatájukat a forró, száraz periódusokkal.
Ez a földrajzi helyzet garantálja, hogy a hőmérséklet és a csapadék eloszlása rendkívül dinamikusan alakuljon a nyár folyamán.
Kilengő ingadozás a hőmérőkön: mire figyelmeztet az időjárásjelentés?
A köpönyeg meteorológiai adatokkal szolgáló friss előrejelzése alapján az idei nyár nem az egyhangú kánikuláról marad emlékezetes, hanem a gyors és szélsőséges váltásokról.
Magyarországon, a nyári időszak alatt a hűvösebb betörések hirtelen vetnek véget a meleg napoknak, záporokat és zivatarokat zúdítva a tájra.

Furcsa jelenetet videóztak a Rendszerbontó Nagykoncerten, nincs rá magyarázat
Olvass tovább...
A csapadék eloszlása rendkívül szeszélyes lesz, így a tikkasztó aszályt pillanatok alatt válthatja fel a felhőszakadásból eredő óriási mennyiségű eső.
Az időjárás-előrejelzés legfrissebb számításai szerint a hőmérséklet ingadozása folyamatos készenlétet igényel mindenkitől. A meteorológiai riasztás lényege pedig nem más, mint hogy a 2026-os évben a hetekig tartó, stabil hőség helyett egy szokatlanul változékony, viharos és hullámzó nyári időszakra kell készülnünk, a szuper El Niño miatt.
